| Korea | Fishing Centeral Association |
|---|---|
| 대표 | 박영수 |
| 업체명 | 상덕낚시터 |
| 이메일 | [email protected] |
| 대표전화 | 010-5223-1700 |
12월 2주차 이야기입니다.
눈이 많이 온다는 대설(大雪)이 지났습니다
이거이 12월이 맞나??
달은 12월인데 이상기온은 뭘까?
가을 내내 이상 저·고온 이더니 이번 겨울엔 어떨까요,,,,
겨울 붕순이를 보는 날이 길어질까요?
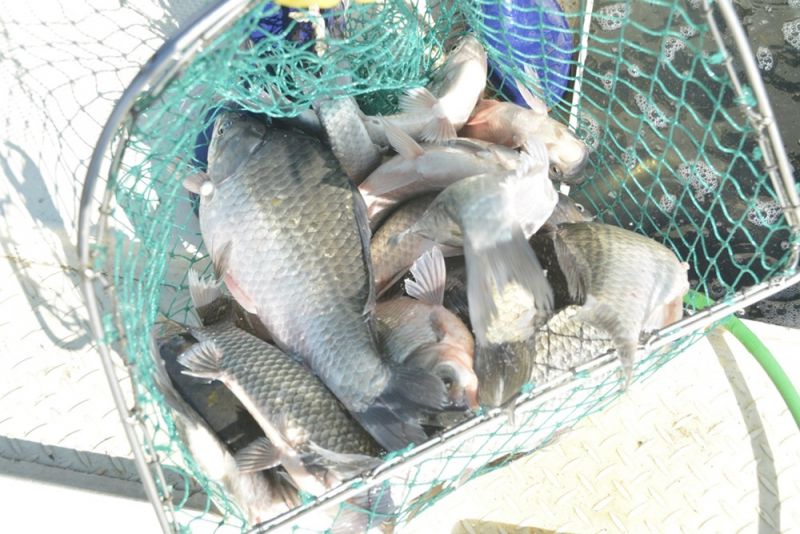
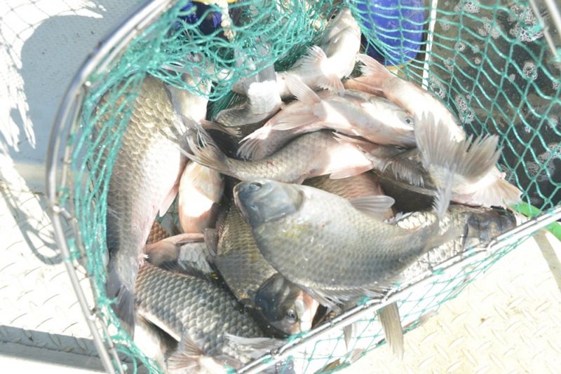
그만 놀자던 붕순이는 계속 놀아주고,,,
뭐~,,같이 놀자는데 궂이 마다할 이유가 없겠죠??
붕순이가 같이 자알 놀아주는 겨울 낚시터 상덕 입니다!























상덕낚시터







댓글 0개




























